政府今晚19:04宣布引用《預防及控制疾病(對若干人士強制檢測)規例》(第599J章),作出限制與檢測宣告,要求自下午7時起限制在元朗媽橫路7號富來花園內的人士須留在其處所並接受強制檢測。
受檢人士須在其處所等候,直至區內所有已識別的受檢人士完成檢測,而相關檢測結果亦已獲大致確定,方可離開其處所。政府目標是在6日上午約7時左右完成此行動。
政府傍晚19:40再度宣布封鎖馬鞍山恆錦街 1 號恆安邨恆江樓。公告指,自下午7時35分起限制在馬鞍山指明「受限區域」內的人士須留在其處所並接受強制檢測,目標是在明日上午約7時左右完成此行動。









恆安邨恆江樓圍封受限區域檢測情況 馮俊文攝

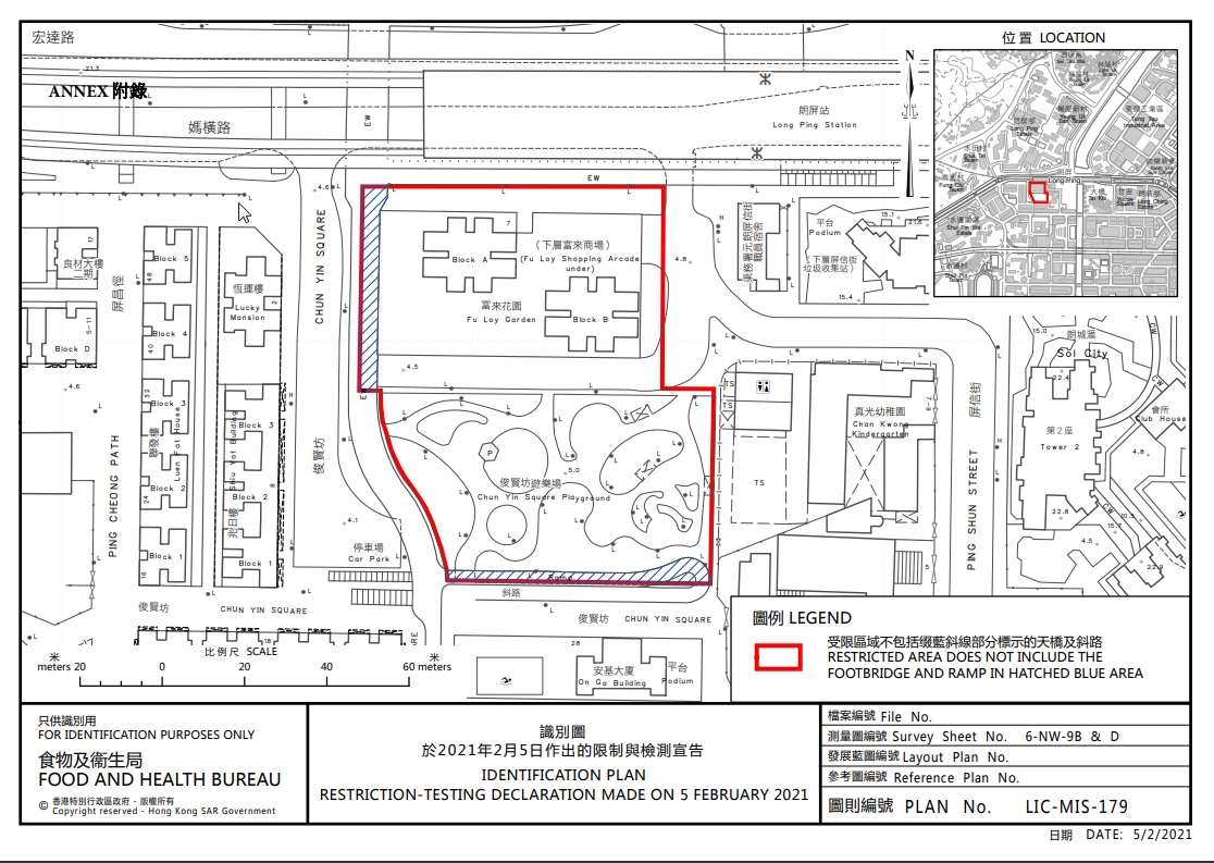
元朗媽橫路7號富來花園圖示

馬鞍山恆錦街 1 號恆安邨恆江樓
