衞生署衞生防護中心今日(7日)表示,正調查一宗涉及L452R(Delta)變異病毒株的外地確診個案。
衞生防護中心指,今日接獲澳洲衞生當局通報一宗於澳洲確診涉及Delta變異病毒株的個案,涉及一名52歲男病人,他於6月26日晚上乘搭TR981離港經新加坡轉機,於當地逗留數小時後於翌日(27日)乘坐TR18航班前往墨爾本。他於6月24日的出發前檢測結果呈陰性,其後於同月29日進行的檢測結果為陽性,沒有病徵。他離港前居於大角咀大角咀道149至157號中美樓。他於葵涌九龍貿易中心1座21樓工作,最後上班日期為6月8日。
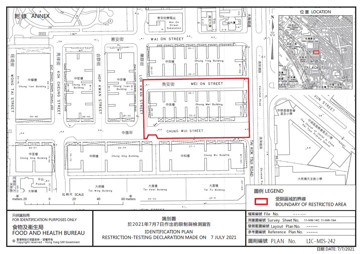
衞生防護中心續指,為審慎起見,政府今晚會將該病人在離港前居住的大角咀道149至157號中美樓,列作「受限區域」,居於同一大廈的所有住客亦須於個案公布當日計起第3、7、12及19日進行強制檢測。政府目標是在明日(8日)上午約7時完成行動。
同時,病人的工作處所,以及他在潛伏期及傳染期到訪過的地點亦須納入強制檢測公告。曾於指定時間逗留於相關地點的人士須於指明日期或之前接受強制檢測。
中心正繼續與澳洲衞生當局跟進個案和就該個案進行流行病學調查。












大角咀道149-157號中美樓圍封强检。记者崔俊良攝
