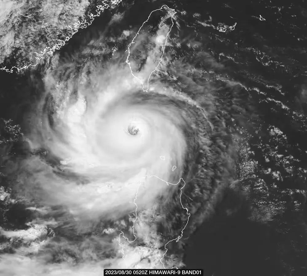
今年第9號颱風「蘇拉」(超強颱風級)8月30日下午14時位於距離深圳約698公里的巴士海峽,預計30日夜間穿過巴士海峽,31日早晨進入南海。
之前我們提到過「蘇拉」前期的路徑是非常奇怪的(在海上畫圈),也是預報近年來分歧最大的一個颱風。

目前預計31日前路徑預報穩定,受其外圍環流影響,深圳市31日高溫加劇,最高氣溫33-35℃,北部局地37℃以上,將發布全市(含深汕)高溫黃色預警信號。
而隨着「蘇拉」進入南海後,其路徑不確定性仍然較大。
「蘇拉」具有強度強、範圍小、移動速度慢的特點,深圳對登陸粵東颱風的距離很敏感,路徑偏移50公里風雨影響偏差1-2個量級。
結合各大機構最新預測,颱風移入南海後其路徑和影響有三種可能:

一是,「蘇拉」在汕尾至珠江口登陸或100公里內近海擦過,對深圳市有超嚴重風雨影響,最高可發布颱風紅色預警信號。
二是,在揭陽以東登陸,對我市有一定風雨影響。
三是,在深圳近海大於150公里擦過不登陸,對我市有明顯風雨影響,可能發布颱風黃色或以下信號, 對深圳造成嚴重風雨影響的風險高,不排除正面襲擊深圳的可能。

深汕可能面臨2013年強颱風「天兔」以來最嚴峻考驗,深汕特別合作區已於30日9時發布颱風白色預警信號,深圳市氣象台30日15時預發布:預計30日20時將發布颱風白色預警信號,31日中午可能升級為颱風藍色預警信號。
颱風蘇拉對深圳影響研判的三個關鍵節點:
一是8月31日早晨:進入深圳600公里防區,明確颱風登陸區域。
二是8月31日傍晚至夜間:確定9月1日是否發布颱風黃色(停課)以上預警信號。
三是9月1日早晨:進入深圳350公里防區,明確颱風登陸強度和登陸點。
請密切留意氣象台發布的颱風最新預警預報信息,做好防台的各項準備。
深圳市氣象災害公眾防禦指引明白卡
請查收
👇👇👇
